
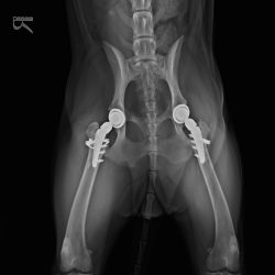
骨折や脱臼、前十字靭帯断裂、関節疾患など、犬や猫の「動くこと」に関わるさまざまなトラブルに対応しています。
CTなどの画像診断を活用し、原因を正確に見極めたうえで、外科手術からリハビリまで一貫した治療を行います。
痛みの軽減と機能回復の両立を目指し、動物たちが再び元気に歩いたり走ったりできるよう、チームでサポートいたします。

手術後の回復期や関節疾患、神経疾患、高齢による筋力低下など、動物たちの状態に合わせたリハビリテーションを行っています。 水中トレッドミルやバランスボールを用いた運動療法、ストレッチやマッサージによる理学療法、レーザー治療などを組み合わせ、機能回復と痛みの緩和をサポートします。 ご自宅でのケア方法も丁寧にお伝えし、飼い主様と二人三脚で「元気に動ける毎日」を目指します。




整形外科治療の根幹は、手術だけでなく「リハビリテーション」にあります。
当院では、骨折や靭帯損傷などの高度な整形外科手術を数多く行っていますが、術後のリハビリなしに円滑な回復や本来の運動機能の再獲得はあり得ません。
人医療と同様に、動物医療においてもリハビリは治療の一環であり、術後ケアの質を大きく左右します。
当院では15年以上の実績を持ち、動物リハビリテーションの専門資格を有する獣医師・看護師が在籍。高齢犬や神経・整形外科疾患の術後回復など、多様なケースに応じたリハビリプログラムを実践しています。

当院の駐車場は合計9台の駐車スペースがございます
・病院の正面 3台
・病院の側面 6台 (生垣がある側)
*生垣が無い方への駐車はご遠慮ください*
順番待ちの関係で、駐車場スペースが空いていない場合がございます。
ご迷惑をおかけいたしますが、車内にてお待ちいただき、スペースが空き次第 駐車していただくようお願いいたします。
~院長、医師、看護師による、獣医療に関する様々な取り組みを交代でご紹介します~