ケースレポート No.5 股関節全置換手術 バーニーズマウンテンドッグ(両側)
2025.03.02

今回の患者様は、股関節全置換手術を当院が行なっていることを
ホームページで当院を知り、” 新潟県 ”より来院されました。
バーニーズ・マウンテン・ドッグ / 9ヶ月(初診時) / 体重 23.4kg
診断:両側 股関節形成不全
右左
右大腿部の筋肉量が左に比べてとても少ない
左大腿部の筋肉量もやや減少していると思われる。
2023年2月 右 THR(股関節全置換術)実施
術後 1ヶ月のレントゲン画像
右大腿部の筋肉量がかなり増しており、左大腿部の筋肉量を上回っている
術後1ヶ月でのご自宅でのご様子を送っていただきました。
足に負担がかからないように、腰吊りベルトで支えています。
右後肢の状態が改善したところで、左 股関節形成不全に対し
2023年5月 THR(股関節全置換術)実施
(右足の手術から3ヶ月後)
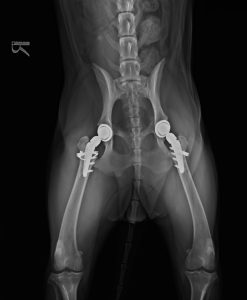
左 術後 1ヶ月のレントゲン画像
左大腿部の筋肉量が増し、左右差がほぼ無くなる
術前 術後
黄色 右 大腿部
オレンジ 左 大腿部
術前から比較すると、股関節全置換術を実施後に筋肉量が増加していることがよく分かります。
特別なリハビリテーションを行うことなく、日常生活程度の運動や散歩を行うだけでも、
ここまで筋肉量が回復します。
現在は術後2年を迎え、新潟の豪雪の中で、元気に遊んでいるようです。
雪の中で遊び回っている様子を送っていただきました。
雪の中での運動が、筋肉を衰えさせない良いリハビリになっていることと思います。
今後も定期的な検診に来ていただく予定です。
豪雪地帯でのわんちゃんの生活・遊ぶ様子がよく分かります。
このような動画を提供していただいた患者様に感謝を申し上げます。